Boundary Surveys
Boundary surveys
We carry out boundary surveys for many different purposes. This can be setting out and registering a new boundary, plotting an existing boundary or resurrecting an old boundary.
As a firm of Chartered Land Surveyors, amrGeomatics have the qualifications, expertise and experience to provide accurate surveys and Expert Witness Reports to assist in the resolution of boundary disputes.
Working in accordance to RICS regulation and HM Land Registry guidelines, as well as maintaining the RICS Rules of Conduct and Ethical Practice, we provide an independent and expert investigation, which is key in providing clear and factual plans to resolve any disputes.
We also provide a service to produce HM Land Registry compliant plans for the purpose of registering new titles and producing transfer plans.
Boundary Surveys are supplied as a 2D CAD drawing, PDF or paper prints.
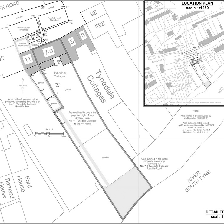
Some examples of Boundary Surveys
-
View survey ...
Shopping Centre, Lease Plan
-
View survey...
Private Land, Land Registry Compliant Plan
-
View survey...
Boundary Investigation
-
View survey...
Private Land, Land Registry Compliant Plan
-
View survey...
Boundary Investigation
-
View survey...
Boundary Investigation
